Lowndes Area Knowledge Exchange (LAKE)

[prev][index][next] [index to photographs]

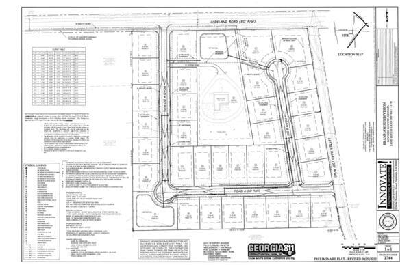
Map: Branham Subdivision, 2022-09-29

REZ-2025-16 Copeland Road Subdivision, 2480 Copeland Rd, ~18ac, County Utilities, R-10/c to R-10
Packet: 4 Presentations, 4 Appointments, 2 Rezonings, 1 Dec. Lighting, 16 For Consideration, 1 Pump Station Upgrade @ LCC
8 December 2025

 
Map: Branham Subdivision, 2022-09-29
bigger PDF