Lowndes Area Knowledge Exchange (LAKE)

[prev][index][next] [index to photographs]

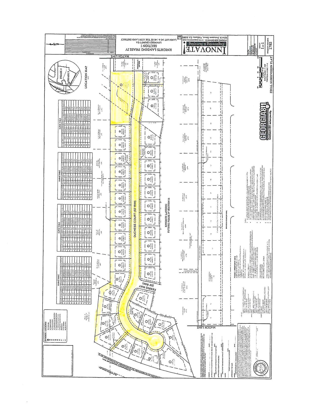
Map: Knights Landing Phase IV Section 1

Acceptance of Infrastructure for Knights Landing Phase IV
Packet: 3 presentations, Appointment Board of Health, correct Tax Assessor, Qualifying Fees, grants, road widening and paving, Lakes Blvd Water Meter Relocation @ LCC
12 January 2026

 
Map: Knights Landing Phase IV Section 1
smaller PDF